Belediye Meclisi’nin Nisan ayı toplantısında asma katlar kaldırılıyor, 10 katlı nizamlı bölgeler 6 kata düşürülüyor.
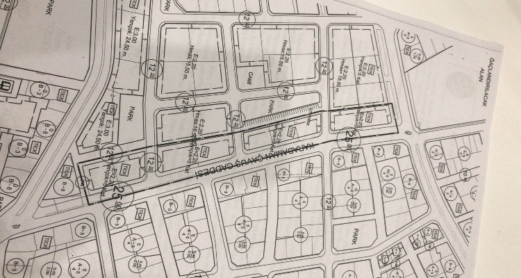
Çorum Belediye Meclisi, yeni imar uygulaması alanlarından Karaman Çavuş ve Farabi Caddesinde asma kat zorunluluğu kaldırılırken, Çepni, Çöplü ve Kunduzhan Mahallesi sınırları içerisinde yer alan 180 hektarlık alanda hem kat yüksekliklerini düşürdü hem de asma katları iptal etti.
6 Şubat’ta meydana gelen depremler sonrası Çorum Belediyesi’nin aldığı bu karar, Türkiye’ye örnek bir karar niteliği taşıyor.
11 ili kapsayan depremler sonrası Belediye Başkanı Dr. Halil İbrahim Aşgın’ın talimatıyla yapı denetim komisyonu oluşturulmuş, tehlike arz eden binalarla ilgili yoğun bir çalışma başlatılmıştı.
Yeni yapılaşmanın olduğu iki cadde ile üç mahalle sınırı içerisinde yer alan 180 hektarlık alanda devrim niteliğinde, Türkiye’ye örnek bir karara imza atan Belediye Meclisi, bu kararı oy birliği aldı. 180 hektarlık alandaki 8-9- ve 10 katlı yapılar 6 kata düşürüldü. Alınan karar ilerleyen günlerde, Belediye Meclisinin onaylaması durumunda şehrin tamamı için de uygulanabilecek.
Başkan Aşgın, mecliste yaptığı konuşmada “Zayıf kat olması hasebiyle altı ticarethane, üstü konut olan alanlarda eğer bitişik nizamında daha önce bir asma kat yapılmamışsa bundan sonraki süreçte asma katlarla ilgili bir sınırlama getiriyoruz. Ticaret ise bir problem yok ama ticaret + konut alanı ise böyle bir sınırlama getiriyoruz. Arkadaşlarımız hazırlık yapıyorlar. Bunu önümüzdeki meclislerde de bu tür konularda ilke kararları alacağız. Hayırlı olsun” diye konuştu.



O Bahçeye Teras Bahçe ve Yer Altı Otoparkı Yapılacak
Çimento Arazisindeki Büyük Dönüşümün İhalesi 21 Nisan’da
ÇORBİS’te Uygulama ve Kilit Sistemi Yenilendi
Çorum’a Yeni Kardeş Şehir
Atık Su Arıtma Tesisi İçin Meclisten Önemli Karar
